Hình ảnh 1

Thông tin mô tả

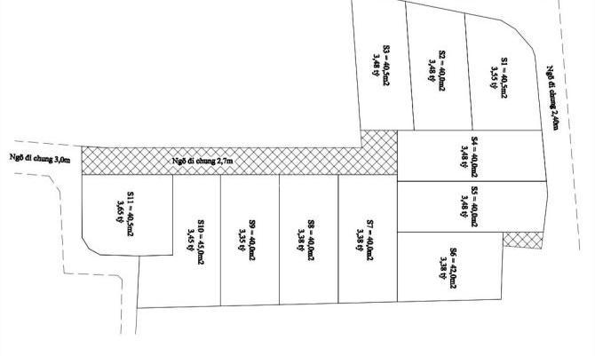
💥 Chủ cần bán Nhà trong hẻm khu vực Đường Lạch Tray, Phường Đằng Giang, Quận Ngô Quyền, Hải Phòng.
+ Giá bán: 3.45 tỷ
+ Diện tích: 40.0 m²
+ Vị trí: Đường Lạch Tray, Phường Đằng Giang, Quận Ngô Quyền, Hải Phòng
+ Pháp lý: Sổ hồng
+ Liên hệ: Hoang Trung Kiên - Vars Connect - 03859*****
 
Xem thêm