Hình ảnh 1
Hình ảnh 2
Hình ảnh 3
Hình ảnh 4
Hình ảnh 5
Hình ảnh 6

Thông tin mô tả

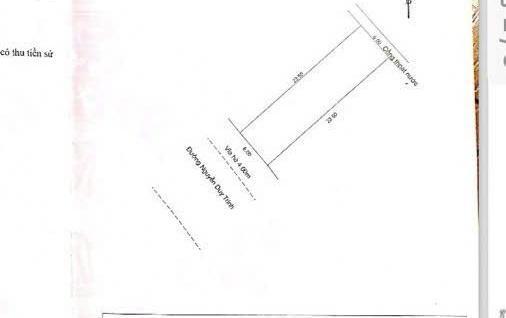
💥 Đất nền riêng lẻ khu vực Đường Nguyễn Duy Trinh, Phường Hòa Hải, Quận Ngũ Hành Sơn, Đà Nẵng.
+ Giá bán: 7.3 tỷ
+ Diện tích: 141.0 m²
+ Vị trí: Đường Nguyễn Duy Trinh, Phường Hòa Hải, Quận Ngũ Hành Sơn, Đà Nẵng
+ Pháp lý: Giấy tờ khác
+ Liên hệ: Hưng - Vars Connect - 08996*****
 
Xem thêm